Orkan Melissa dosegel najvišjo stopnjo in ogroža Jamajko s katastrofalnimi poplavami
dom in vrt okolje nesreče vreme

Orkan Melissa dosegel najvišjo stopnjo in ogroža Jamajko s katastrofalnimi poplavami

28. okt 7:03

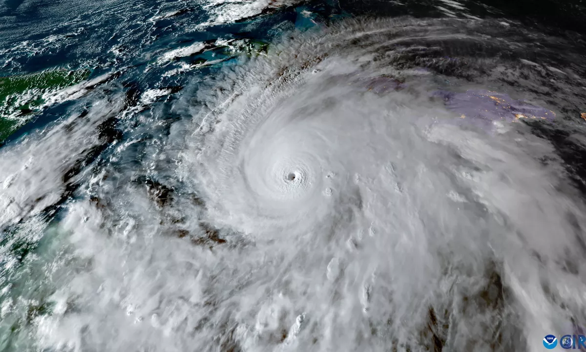
Orkan Melissa je dosegel peto stopnjo in se s hitrostjo vetra prek 280 km/h približuje Jamajki. Z neurjem je povezanih že sedem smrtnih žrtev. Orkan je najmočnejši letošnji orkan.

Orkan Melissa, ki se nahaja pred južno obalo Jamajke v Karibskem morju, je dosegel najvišjo, peto stopnjo. Ameriški nacionalni center za orkane (NHC) opozarja, da bo orkan, ki naj bi še danes dosegel Jamajko, na otoku povzročil katastrofalne poplave. Oblasti pozivajo prebivalce k evakuaciji in iskanju varnega zavetja, saj se država pripravlja na močne padavine, kakršnih še ni bilo.

Izvorni članki

Podobni članki

Orkan Melissa se še okrepil in ogroža Jamajko
nesreče vreme
Orkan Melissa se še okrepil in ogroža Jamajko

28. okt 18:05

Orkan Melissa se je okrepil v peto stopnjo in z vetrovi, ki dosegajo hitrosti do 290 km/h, velja za drugo najmočnejšo nevihto v regiji. Orkan bo kmalu dosegel Jamajko.

Orkan Melissa zahteval žrtve in povzročil veliko škodo na Karibih
nesreče vreme
Orkan Melissa zahteval žrtve in povzročil veliko škodo na Karibih

29. okt 21:05

Orkan Melissa, eden največjih orkanov v zgodovini Atlantskega oceana, je povzročil veliko razdejanje na Karibih. Na Haitiju je zahteval najmanj deset oziroma dvajset smrtnih žrtev, razdejanje pa je povzročil tudi na Jamajki in Kubi. Oslabljen orkan se premika proti Bahamom in Bermudom.

Orkan Melissa zahteval skoraj 50 življenj na Karibih
mednarodni odnosi vreme
Orkan Melissa zahteval skoraj 50 življenj na Karibih

31. okt 13:05

Orkan Melissa, ki je povzročil obsežno uničenje na Kubi, Haitiju in Jamajki, je oslabel in ne predstavlja več grožnje za karibske države. Kljub temu pa je število smrtnih žrtev naraslo na skoraj 50, kot poročajo tuje tiskovne agencije.

Reko prizadele poplave zaradi močnih nalivov
okolje vreme
Reko prizadele poplave zaradi močnih nalivov

10. sep 16:09

Močni nalivi so povzročili poplave na Reki in v njeni okolici. Ulice v višjih predelih mesta so se spremenile v hudournike, v nižjih predelih pa je poplavilo več poslovnih prostorov. Hrvaška javna radiotelevizija HRT poroča o dogodku, vremenoslovci pa opozarjajo na možnost novih nalivov drugod po hrvaški obali.

Supertajfun Ragasa dosegel sever Filipinov in povzročil veliko škode
vreme dom in vrt
Supertajfun Ragasa dosegel sever Filipinov in povzročil veliko škode

22. sep 16:05

Supertajfun Ragasa je z močnim dežjem in vetrom, ki je presegal 200 kilometrov na uro, dosegel sever Filipinov. Na otoku Panuitan je tajfun povzročil veliko škode, saj je odnašal strehe, ruval drevesa in podiral električne drogove. Pojavili so se tudi zemeljski plazovi, poplave in nevihte ob obalnih območjih.

Entitete in sentiment

Entiteta Sentiment
Melissa zelo negativno
Jamajka zelo negativno
Karibsko morje nevtralno
Nacionalni center za orkane nevtralno
CNN nevtralno
Katrina Negativno
Ameriška Nacionalna uprava za oceane in ozračje nevtralno

Zakaj je novica relevantna za Slovenijo

Dogajanje je sicer precej oddaljeno, vendar opozarja na moč naravnih nesreč, ki se lahko zgodijo tudi bližje Sloveniji.